Canal Walk Business Park, Shepherds Way, Carnbane Industrial Estate, Newry

To Let

54.197482326678, -6.3487688450631

Specifications

Full address:

Canal Walk Business Park, Shepherds Way
Carnbane Industrial Estate
Newry
BT35 6EE
United Kingdom

Total Size (ft²)
7,000
Total Size (m²)
651
Property Type:
Industrial
Property Status:
Ready for Fit-out
Annual rental (per ft²):
£7.00
Rates (per ft²):
Contact agent for details
Service Charge (per ft²):
Contact agent for details

Description

Added
11/02/22

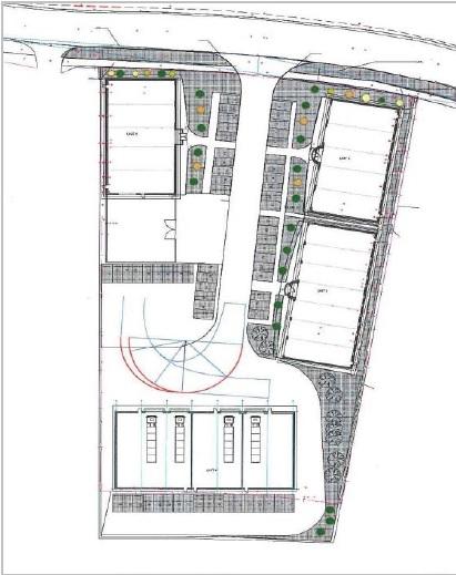
To Let: New Build Industrial Warehouse Units. The scheme will comprise of up to six units on a prominent 2 acre site creating an attractive business park benefiting from a high volume of passing traffic. Planning permission has been approved for a business park development with consent for trade-counter and light industrial warehouse use. Consideration will be given to sub-dividing units to suit requirements. Units will be offered on a shell basis of block construction with cladding to upper walls and roof, glazed frontage and electric roller shutter. Services will be provided to conneciton point.

Disclaimer

The information contained in this website is for general information purposes only. The information is sourced from third parties and is subject to change without notice. While we endeavour to keep the information up to date and correct, we make no representations or warranties of any kind, express or implied, about the completeness, accuracy, reliability, suitability or availability with respect to the website or the information, products, services, or related graphics contained on the website for any purpose. Any reliance you place on such information is therefore strictly at your own risk.

Similar properties

Bridgeview 1

Bridgeview Industrial Estate, 30 Low Road, Meigh, Newry

To Let
Total Size (ft²)
38,000
Property Type:
Industrial
Property Status:
Ready for Fit-out
Mallusk Drive 1

5 Mallusk Drive, Mallusk, Newtownabbey

For Sale
Total Size (ft²)
34,876
Agent(s)
  • O'Connor Kennedy Turtle (Belfast)
Property Type:
Industrial
Property Status:
Ready for Fit-out
Kilbegs 1

Unit C1, Kilbegs Business Park, Kilbegs Road, Antrim

To Let
Total Size (ft²)
3,865
Agent(s)
  • O'Connor Kennedy Turtle (Belfast)
Property Type:
Industrial
Property Status:
Ready for Fit-out
24 Enterprise Avenue

24 Enterprise Avenue, Belfast Road, Downpatrick

To Let
Site Area (Acres)
1.10
Total Size (ft²)
7,000
Agent(s)
  • Quinn Estate Agents
Property Type:
Industrial
Property Status:
Ready for Fit-out
Unit 17 Hulls Lane

Unit 17, Hulls Lane, Lisburn

To Let
Total Size (ft²)
6,196
Agent(s)
  • Lambert Smith Hampton
Property Type:
Industrial
Property Status:
Ready for Fit-out
17a Campsie Business Park

17a Campsie Business Park, McLean Road, Londonderry

To Let
Total Size (ft²)
6,100
Agent(s)
  • Robert Ferris Estate Agents
Property Type:
Industrial
Property Status:
Ready for Fit-out
4 Maydown Road

4 Maydown Road, Londonderry

To Let
Site Area (Acres)
4.00
Total Size (ft²)
44,286
Agent(s)
  • O'Connor Kennedy Turtle (Belfast)
Property Type:
Industrial
Property Status:
Ready for Fit-out
Unit 4 BBP 1

Unit 4 Ballinderry Business Park, 58 Ballinderry Road, Lisburn

To Let
Total Size (ft²)
6,951
Agent(s)
  • Lisney
Property Type:
Industrial
Property Status:
Ready for Fit-out
Ballyloran 1

Ballyloran Industrial Estate, Ballyboley Road, Larne

For Sale
Site Area (Acres)
2.90
Total Size (ft²)
26,161
Agent(s)
  • O'Connor Kennedy Turtle (Belfast)
Property Type:
Industrial
Property Status:
Ready for Fit-out
2 Rathdown Rd 1

Unit 4, 2 Rathdown Road, Lisburn

To Let
Total Size (ft²)
4,830
Agent(s)
  • Lambert Smith Hampton
Property Type:
Industrial